Desivý pohľad z vesmíru, toto ohrozuje milióny ľudí
Máte vypnuté reklamy
Vďaka financiám z reklamy prinášame kvalitné a objektívne informácie. Povoľte si prosím zobrazovanie reklamy na našom webe. Ďakujeme, že podporujete kvalitnú žurnalistiku.
MANILA / Najsilnejší svetový tajfún tohto roka udrel na strednú oblasť Filipín. Vyžiadal si zatiaľ troch mŕtvych, ničil domy, ochromil dopravu a spôsobil výpadok elektriny v celej jednej provincii. Úrady preventívne evakuovali milión ľudí.
Zosuvy pôdy a záplavy
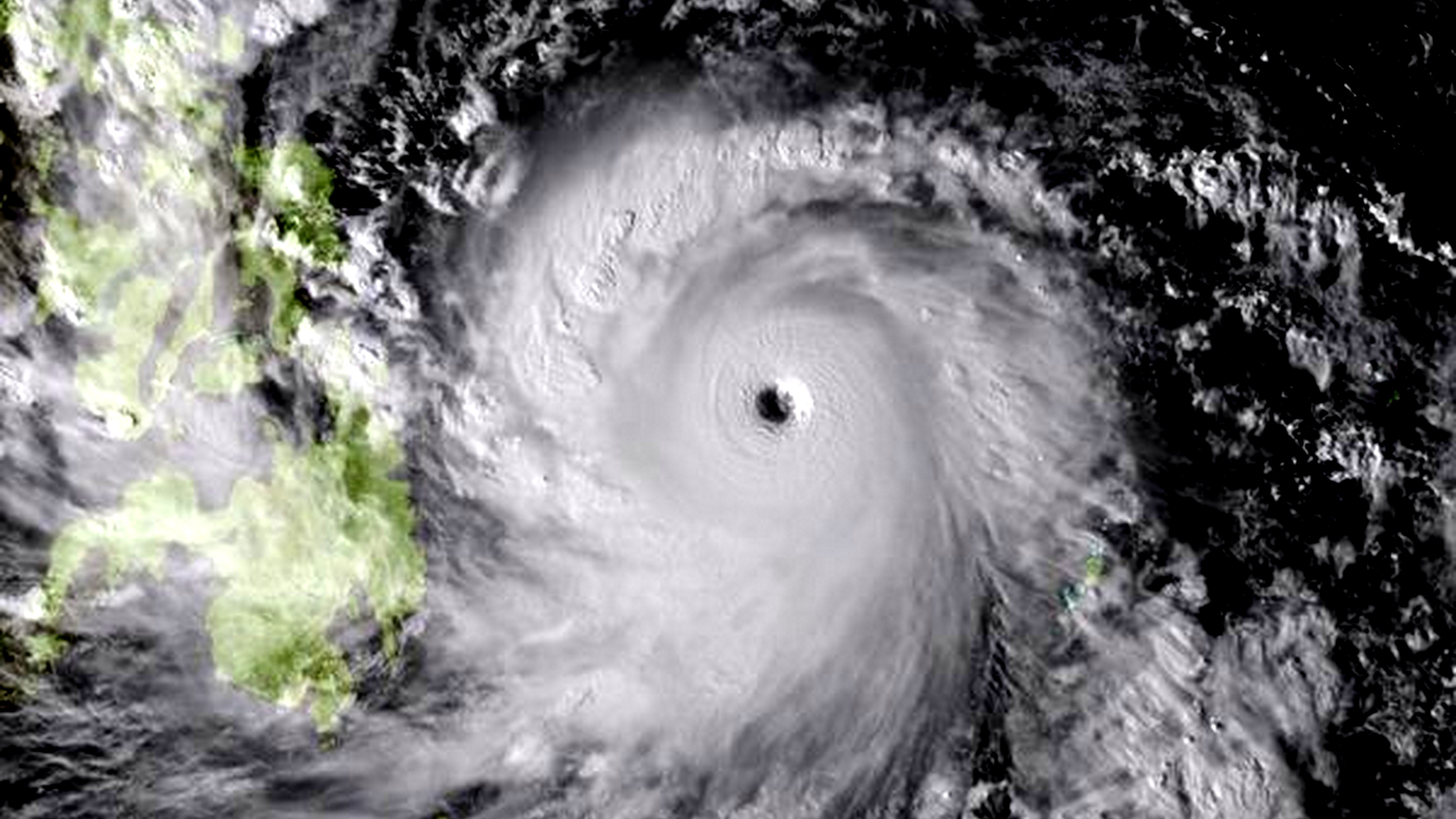
Tajfún na Filipínach zasiahol najskôr južný cíp ostrova Samar a potom sa presunul na ostrovy Leyte a Cebu, ktorý je obľúbeným cieľom turistov a kde taktiež leží asi 2,5-miliónové mesto Cebu.
Búrka doprevádzaná hustými lejakmi vyvolala zosuvy pôdy a miestne záplavy. Na súostroví bola zastavená trajektová doprava, rovnako ako všetky rybárske aktivity. Takmer 200 miestnych letov bolo zrušených a v postihnutých oblastiach nefunguje ani autobusová doprava. V centrálnych regiónoch boli uzatvorené školy, úrady a obchody.
Milión ľudí bolo evakuovaných
Na ostrove Samar bolo prerušené telekomunikačné spojenie s niektorými mestami a dedinami a celá provincia Samar sa ocitla bez dodávky elektrického prúdu. "Celá provincia je bez prúdu," uviedla samarská guvernérka Sharee Tan. "Padajúce stromy zničili stĺpy elektrického vedenia a zablokovali cesty," dodala.
Filipínske úrady uviedli, že jeden milión ľudí vo viac než 20 provinicách boli evakuovaní. Jedná sa predovšetkým o obyvateľov ohrozených miest, ako sú riečne brehy, pobrežné dedinky a horské svahy.
Najmocnejší tajfún na svete
Podľa agentúry Reuters je tajfún Haiyan zrejme najmocnejším svetovým tajfúnom, ktorý kedy podľa historických záznamov zasiahol pevninu. Tento supertajfún dorazil na pevninu s vetrom dosahujúcim rýchlosť 313 km/hod.
Tajfún by mal zotrvať nad Filipínami ešte v sobotu a neskôr cez víkend bude podľa odhadov meteorológov pokračovať k Juhočínskemu moru, pričom by mohol ohroziť Vietnam a Čínu.


Staňte sa fanúšikom spravodajstva TV JOJ na sociálnej sieti FACEBOOK a vyhrajte!
nationalgeographic.com